
Μέχρι τα ξημερώματα της Τρίτης ο καιρός θα σημειώσει σταδιακή βελτίωση χωρίς να παρατηρηθούν ακραία φαινόμενα.
Αυτό δηλώνει στο Αθηναϊκό - Μακεδονικό Πρακτορείο Ειδήσεων, ο διευθυντής του Μετεωρολογικού Κέντρου της ΕΜΥ, Αντώνης Λάλος, ο οποίος διευκρινίζει ότι για σήμερα Δευτέρα σημειώνεται στην Ελλάδα ένα χαμηλό βαρομετρικό, το οποίο έχει τροφοδοτηθεί με υδρατμούς καθώς κινείται πάνω από τη θάλασσα και δημιουργεί προϋποθέσεις ισχυρών καταιγίδων και περιμετρικών ισχυρών ανέμων κυρίως πάνω από την Κρήτη.
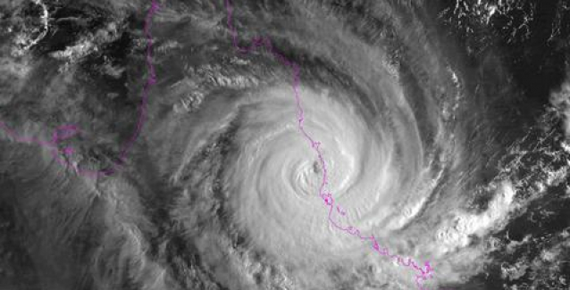
Και ο ερευνητής του Εθνικού Αστεροσκοπείου Αθηνών, Κώστας Λαγουβάρδος έκανε λόγο για «τροπικού τύπου κυκλώνα κι όχι τροπικό, ο οποίος έχει οριζόντια έκταση με διάμετρο όχι πάνω από 200 χιλιόμετρα. Δεν έχει καμία σχέση με κύκλωνες όπως της Αμερικής, Κούβας για παράδειγμα. Μια ή δυο φορές τον χρόνο μπορεί να παρατηρηθούν τέτοια φαινόμενα στην περιοχή της Μεσογείου, αυτός ο κυκλώνας κινείται πάνω από την θάλασσα και τροφοδοτείται από αυτήν και προκαλεί ισχυρούς ανέμους. Ο κυκλώνας κινείται ανατολικά της Κρήτης, την οποία και πλήττει σήμερα με έντονες βροχοπτώσεις και θυελλώδεις ανέμους και από αύριο, Τρίτη τα φαινόμενα θα είναι ηπιότερα».
Ειδικότερα, ο καιρός για αύριο Τρίτη προβλέπεται στα ανατολικά και νότια ότι θα παρατηρηθούν νεφώσεις με ασθενείς τοπικές βροχές και μέχρι το απόγευμα σποραδικές καταιγίδες στο νότιο Ιόνιο, ενώ στην υπόλοιπη Ελλάδα λίγες νεφώσεις. Οι άνεμοι από βόρειες διευθύνσεις, στα δυτικά 3 με 5, στα ανατολικά 4 με 6 και στο νότιο Αιγαίο 7 και τοπικά 8 μποφόρ, με βαθμιαία εξασθένηση στα βόρεια.
Η θερμοκρασία θα σημειώσει μικρή άνοδο στα δυτικά.